TOP >建設中・計画中INDEX >大阪府 >大阪市 >北区
(仮称)大阪市北区中之島5丁目計画
住友商事、住友不動産、関電不動産開発、アサヒプロパティズの4社は、大阪市北区中之島5丁目に地上52階、高さ196.65m、延べ面積82,646㎡のタワーマンションを新設します。 設計は日建設計、施工は竹中工務店。 2030年5月末に竣工する予定です。
![]() |
2025年12月30日撮影。南西側より見た建設地。
立面図
![]() |
南立面図です。
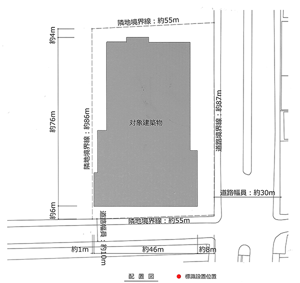
配置図
![]() |
北側、東側、南側の三方が道路に面しています。
概要
| 名 称 | (仮称)大阪市北区中之島5丁目計画 |
|---|---|
| 所在地 | 大阪府大阪市北区中之島5丁目14-1ほか(地番)(中之島五丁目地区土地区画整理事業施行地区内1街区11-2外) |
| 最寄駅 | 京阪 中之島線「中之島」駅 |
| 建築主 | 住友商事株式会社、住友不動産株式会社、関電不動産開発株式会社、株式会社アサヒプロパティズ |
| 設計・監理 | 株式会社日建設計 |
| 施 工 | 株式会社竹中工務店 |
| 用 途 | 共同住宅 |
| 敷地面積 | 4,735.16㎡ |
| 建築面積 | 3,788.00㎡ |
| 延床面積 | 82,646.00㎡ |
| 構 造 | 鉄筋コンクリート造、一部鉄骨造(免震構造) |
| 階 数 | 地上52階 |
| 高 さ | 196.65m |
| 着 工 | 2025年11月1日予定 |
| 竣 工 | 2030年5月31日予定 |
最終更新日:2026年1月7日
地図
現在の最寄り駅は「京阪中之島線・中之島駅」です。 建設地の隣接地では「なにわ筋線・中之島駅」を2031年春の開業を目指し建設中です。
2025年12月30日撮影
![]() |
「(仮称)大阪市北区中之島5丁目計画」の建築計画のお知らせ。 前回撮影時に日建ハウジングシステムだった設計者が日建設計に変更されていました。 両社は2025年4月1日に合併し、日建設計が存続会社となっています。 写真クリックで拡大画像を表示。
![]() |
①の地点よりスタートします。
![]() |
①の地点より建設地を見ています。2025年11月頃に着工したもようです。
![]() |
その右手。道路が新設されていました。
![]() |
その右手。こちらにも空き地がありますが、撮影時点では活用方法は不明です。
![]() |
続いて左手の様子。なにわ筋の下では新しい駅(中之島駅)を造っています。なにわ筋線は2031年春に開業する予定です。
![]() |
東側より見た建設地。ここに地上52階、高さ196.65m、延べ面積82,646㎡のタワーマンションが出現します。中之島駅とは隣接することになります。
![]() |
②の地点に移動しました。
![]() |
②の地点より見た建設地。
![]() |
その右手。建設地東側。なにわ筋。北方面。
![]() |
左手。建設地南側の様子。左は常安橋です。
![]() |
建設地南東側の仮囲いの透明部分より見た内部の様子です。
![]() |
建設地南側の土佐堀川沿いに広々とした遊歩道が整備されていました。
![]() |
その左手。土佐堀川です。
![]() |
③の地点に移動しました。
![]() |
③の地点(遊歩道)より見た建設地。工事は始まったばかりです。
![]() |
その右手。建設地南側。
![]() |
左手。建設地西側。仮囲い部分までが建設地のようです。その左手は「(仮称)中之島五丁目3番地計画」建設地になります。
![]() |
その左手。 「(仮称)中之島五丁目3番地計画」では、関電不動産開発、NTT都市開発、住友商事の3社が地上57階、地下1階、高さ205m、総戸数約1100戸のタワーマンションを新設します。 2026年6月初旬に着工し、2031年1月中旬に竣工する予定です。
![]() |
少し南西方向に進んだ場所より本題の建設地方面を見ています。 本題のマンションは2030年5月末に竣工する予定です。 なお、労災保険関係成立票の事業の期間は2030年9月30日迄です。
![]() |
(仮称)大阪市北区中之島5丁目計画…地上52階、高さ196.65m、2030年5月竣工
(仮称)中之島五丁目3番地計画………地上57階、高さ205.00m、2031年1月竣工
なにわ筋線「中之島駅」が開業する2031年春頃には、高さ約200mのタワーマンションが並ぶことになりますね。



















