TOP >建設中・計画中INDEX >東京都 >中野区
囲町西地区第一種市街地再開発事業
囲町西(かこいちょうにし)地区市街地再開発組合は、東京都中野区中野4丁目に地上25階、地下1階、高さ85.87m(最高89.12m)、総戸数約510戸のタワーマンションを整備します。 低層部には店舗や子育て支援施設も入ります。 参加組合員として住友不動産が参画。 設計はINA新建築研究所、施工は五洋建設。 2026年4月に着工し、2029年10月末に竣工する予定です。
![]() |
2025年11月23日撮影。北東側より見た事業地。既存建物を解体していました。
完成イメージ
![]() |
南西側より見ています。2024年5月15日に組合設立が認可され、同年12月6日に事業計画が変更認可されています。
断面イメージ
![]() |
地下1階に駐車場や機械室等、1階に車路、子育て支援施設、店舗等、2~25階に住宅を配置します。
配置図
![]() |
再開発事業では、施設建築物の西側に広場を設けるほか、無電柱化した区画道路や歩道状空地などを整備します。
位置図
![]() |
東側隣接地では「囲町東地区第一種市街地再開発事業」が進行中で、下記施設などを建設中です。詳細は→こちら
パークシティ中野 ザ タワー エアーズ:地上24階、地下2階、高さ99.44m、総戸数545戸
パークシティ中野 ザ タワー ブリーズ:地上20階、地下1階、高さ81.98m、総戸数262戸
概要
| 事業名 | 囲町西地区第一種市街地再開発事業 |
|---|---|
| 所在地 | 東京都中野区中野4丁目2-178ほか(地番) 東京都中野区中野4丁目(住居表示) |
| 最寄駅 | JR・東京メトロ「中野」駅 |
| 建築主 | 囲町西地区市街地再開発組合(参加組合員:住友不動産株式会社) |
| 設 計 | 株式会社INA新建築研究所 |
| 施 工 | 五洋建設株式会社 |
| 用 途 | 共同住宅(約510戸)、店舗、子育支援施設 |
| 敷地面積 | 6,191.81㎡ |
| 建築面積 | 3,313.20㎡ |
| 延床面積 | 53,780.28㎡ |
| 構 造 | 鉄筋コンクリート造 |
| 基礎工法 | 直接基礎 |
| 階 数 | 地上25階、地下1階、塔屋1階 |
| 高 さ | 85.87m(最高89.12m) |
| 着 工 | 2026年4月15日予定 |
| 竣 工 | 2029年10月31日予定 |
| 備 考 |
◆事業施工期間(予定):組合設立認可公告の日~2030年10月末 ◆事業コンサルタント:INA新建築研究所 ◆東京都HP(組合設立認可)は→こちら ◆中野区HPは→こちら |
最終更新日:2025年11月27日
地図
事業地まで、JR中央線、JR総武線、東京メトロ東西線が乗り入れる中野駅より徒歩10分ほどです。
2025年11月23日撮影
![]() |
中野サンプラザや旧中野区役所の再開発は白紙に戻りましたが・・・
![]() |
中野駅ビル・中野駅自由通路・新駅舎の工事は順調に進められています。
![]() |
「(仮称)中野駅西口開発」の建築計画のお知らせ。 地上5階、高さ28.269m(最高31.824m)、延べ面積18,354㎡です。 写真クリックで拡大画像を表示。
![]() |
「(仮称)中野駅西口開発 駐車場棟」の建築計画のお知らせも設置されていました。 地上3階、地下1階、高さ18.427m、延べ面積1,457㎡です。 写真クリックで拡大画像を表示。
![]() |
中野駅ビルの完成イメージです。新駅舎・南北自由通路が2026年末頃に供用開始する予定で、駅ビル内商業施設「アトレ」は2027年度に開業する見込みです。
![]() |
①の地点に移動しました。
![]() |
①の地点より「囲町西地区第一種市街地再開発事業」の事業地を見ています。 五洋建設が2025年7月7日~2028年4月15日の工期で既存建物の解体工事を進めていました。
![]() |
その右手。事業地北側の様子です。
![]() |
左手。事業地東側です。
![]() |
その左手。 「囲町東地区第一種市街地再開発事業」が2026年4月24日の完了を目指し進められています。 写真は「パークシティ中野 ザ タワー ブリーズ」(地上20階、高さ81.98m)です。 「囲町東地区第一種市街地再開発事業」については→こちら
![]() |
②の地点に移動しました。
![]() |
②の地点より見た「パークシティ中野 ザ タワー ブリーズ」。
![]() |
その左手。左が「囲町西地区第一種市街地再開発事業」、右が「囲町東地区第一種市街地再開発事業」です。
![]() |
その左手。「囲町西地区第一種市街地再開発事業」の南側の様子です。この道路は拡幅されます。こちらに進みます。
![]() |
解体中の既存建物の様子。
![]() |
解体中の既存建物の様子。
![]() |
解体中の既存建物の様子です。
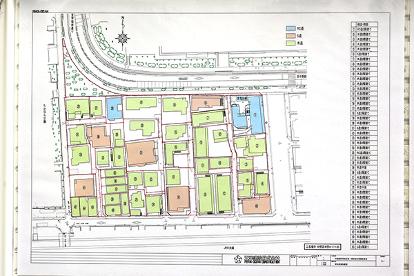
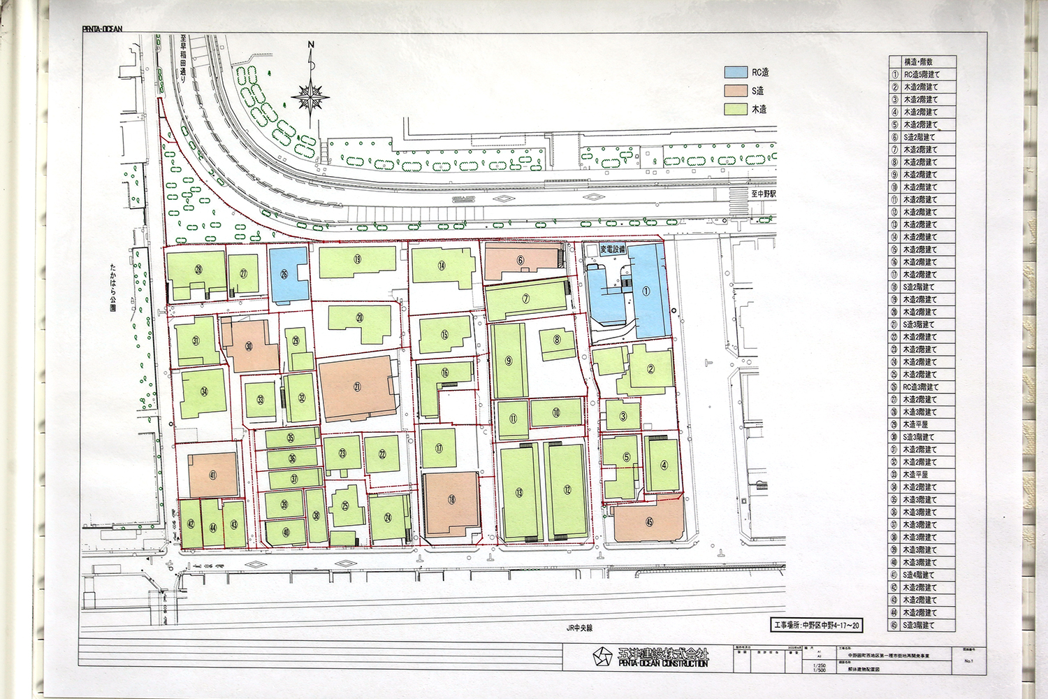
![]() |
全部で45棟を解体しています。内訳はRC造2棟、S造6棟、木造37棟です。写真クリックで拡大画像を表示。
![]() |
③の地点に移動しました。
![]() |
③の地点より見た解体を待つ建物。
![]() |
その右手。事業地南側。
![]() |
左手。事業地西側。この道路も拡幅されます。こちらに進みます。
![]() |
右側が事業地です。
![]() |
右側が事業地です。これから解体されます。
![]() |
その左手。たかはら公園があります。
![]() |
ふたたび解体を待つ既存建物の様子。
![]() |
④の地点に移動しました。
![]() |
④の地点より見た事業地。このあたりの家屋は最後に解体でしょうか。
![]() |
その右手。
![]() |
左手。解体を待つ家屋の様子。住友不動産が参加組合員として参画しているので、マンション名は「シティタワー中野」でしょうか。
![]() |
東京都の条例による「囲町西地区第一種市街地再開発事業」の建築計画のお知らせ。高さは85.87m(最高89.12m)です。
![]() |
こちらは中野区の条例による「囲町西地区第一種市街地再開発事業」の建築計画のお知らせです。 2026年4月15日に着工し、2029年10月末に竣工する予定です。 写真クリックで拡大画像を表示。

































